Оглавление
- Характеристики
- Комплектация
- На первый взгляд
- Инструкция
- Управление
- Управление со смартфона
- Эксплуатация
- Уход
- Наши измерения
- Объем
- Энергопотребление и шум
- Тепловыделение
- Практические тесты
- Измерения морозильной камеры
- Измерения холодильной камеры
- Работа холодильной камеры
- Работа морозильной камеры
- Разморозка холодильника
- Выводы
Каждый сотрудник iXBT.com знает: купил технику — сначала отдай на тестирование. Это обзор холодильника, который приобрел для своей квартиры один из его авторов. Поэтому фотографии, в отличие от других подобных обзоров, будут не студийные, а «в интерьере», а раздел «Эксплуатация» будет базироваться на опыте реальной эксплуатации прибора.
Казалось бы, все на практике знают, что холодильника много не бывает, однако по-настоящему вместительные приборы на рынке пребывают в стабильном меньшинстве. Возможно, это связано с привычкой ставить холодильник на кухне со сравнительно скромными размерами. Не исключен также и вариант, когда на кухне ставится именно холодильник, а для замораживания припасов приобретается отдельная морозилка или морозильный ларь, который устанавливается уже где угодно: от кладовки до даже балкона. Тем не менее, спрос на большие модели хоть и невелик, но стабилен, поэтому в ассортименте большинства производителей они есть.
Герой сегодняшнего обзора — двухдверный холодильник «side by side» LG GC-B257KEHW. По данным производителя (а иные на момент покупки были недоступны), полезная емкость его холодильного отделения составляет 432 л, а морозильного — 206 л. Покупался он на замену всё еще боевому, но уже немного «подуставшему» за 20 с лишним лет работы Sharp SJ-69M-BE (холодильник 428 л, морозилка 151 л). Претензия к «японцу» за все годы службы сформировалась, по сути, одна: морозилка маловата. Поэтому старый боевой товарищ отправился на пенсию на дачу, а его место в городской квартире занял новый агрегат.
При выборе новой модели будущий владелец руководствовался очень простым алгоритмом: емкость, емкость и еще раз емкость. Ну, и цена, естественно. Все новомодные тенденции типа фреш-зоны, третьего отсека, систем контроля влажности, а также «навороты» в виде льдогенератора или диспенсера воды было решено игнорировать, т. к. цену они увеличивают ощутимо, а вот полезность устройства повышают, с точки зрения будущего хозяина, не в пример меньше.
Также было решено принципиально остановиться на моделях с одним компрессором, потому что они, опять-таки, существенно дешевле, а предыдущий прибор убедительно доказал работоспособность и надежность однокомпрессорной схемы в течение длительного периода времени. А вот инверторный компрессор в наш холодильник попал «случайно» — не ставили мы себе в явной форме такой цели.
Характеристики
| Производитель | LG |
|---|---|
| Модель | GC-B257KEHW |
| Тип | двухкамерный (side-by-side) двухдверный холодильник |
| Страна производства | Китай |
| Гарантия | 12 месяцев |
| Срок службы* | 10 лет |
| Общий объем | 703 л |
| Полезный объем | 658 л |
| Общий объем холодильной камеры | 432 л |
| Общий объем морозильной камеры | 271 л |
| Потребление энергии | 420 кВт·ч в год |
| Уровень шума | 36 дБ |
| Класс энергоэффективности | A+ |
| Материал полок | закаленное стекло |
| Количество полок в холодильной камере | 3 |
| Количество полок в морозильной камере | 3 |
| Количество ящиков для овощей | 2 |
| Количество ящиков в морозильном отделении | 2 |
| Управление | электронное |
| Разморозка | NoFrost/NoFrost |
| Подсветка холодильной камеры | светодиодная |
| Подсветка морозильной камеры | светодиодная |
| Вес | 101 кг |
| Габариты (Ш×В×Г) | 913×1790×735 мм |
| Длина сетевого кабеля | 225 см |
| Ориентировочная стоимость | от 90 тысяч рублей на момент публикации обзора |
* Вопреки распространенному заблуждению, это не срок, через который устройство обязательно сломается. Однако по истечении этого срока производитель перестает нести какую-либо ответственность за его работоспособность и имеет право отказаться его ремонтировать, даже за плату.
Комплектация
Вскрыв коробку, внутри мы обнаружили:
- собственно холодильник — со всеми установленными внутрь полочками и ящиками
- инструкцию, гарантийный талон и наклейку со сведениями об энергосбережении
Все полочки и ящички перед установкой в свои пазы были обклеены в соответствующих местах вспененным пластиком, который надежно удерживал их на месте и не позволял в процессе транспортировки «биться» внутри холодильника. Все гладкие поверхности также были обклеены специальной пленкой, чтобы не поцарапались. Не переставая искренне благодарить компанию LG, которая сделала всё, чтобы холодильник доехал до нас целым и неповрежденным, не менее часа мы потратили на то, чтобы все эти пленочки отодрать :)
На первый взгляд
У холодильника LG GC-B257KEHW классическая конструкция side-by-side: двери распахиваются в обе стороны, слева располагается морозильное, а справа — холодильное отделение. Цвет нашей модели — светло-бежевый. Гладкие передние панели украшены декоративной «мраморной» текстурой, заметной при ярком освещении.
Ручки дверей — скрытого типа, за габариты корпуса ничего не выступает.
Дверцы холодильного и морозильного отделений распахиваются приблизительно на 120°.
Общий полезный объем холодильной и морозильной камер составляет, согласно измерениям производителя, 658 литров.
Холодильное и морозильное отделения организованы сходным образом: в каждом из них по три полки из закаленного стекла и по паре ящиков из прозрачного пластика.
На верхней кромке корпуса располагается панель управления с мембранными кнопками и светодиодной индикацией. Мы рассмотрим ее подробнее, когда подготовим холодильник к работе и включим его.
На потолке холодильного отделения вровень с поверхностью размещен прямоугольный модуль LED-подсветки, дающий ровный свет холодного спектра. На задней стенке мы видим вентиляционные отверстия, обеспечивающие работу системы NoFrost.
Высоту верхней полки можно регулировать в небольших пределах (для этого предусмотрено дополнительное крепление), расположение двух нижних полок фиксированное. Функцию четвертой полки выполняет стеклянная крышка верхнего ящика для овощей.
Для хранения овощей и фруктов в этой модели предусмотрены два ящика: верхний побольше, нижний — поменьше. Оба контейнера закрываются выдвижными стеклянными полками, обеспечивающими более ровный микроклимат.
Задняя стенка нижнего ящика заметно скошена: пространство за ней с тыльной стороны корпуса занято отсеком компрессорного агрегата.
Дверца холодильного отделения оборудована четырьмя съемными полками с фиксированным размещением: переставить их повыше или пониже нельзя.
Полки сделаны из прозрачного пластика, а их размер необычно велик: увеличенный объем хранения в этой зоне достигается за счет большой глубины.
Общий объем морозильной камеры, согласно техническим характеристикам, составляет 271 литр. На ее потолке располагается такой же прямоугольный блок подсветки, как и в холодильнике.
У полок морозилки фиксированное размещение: в отличие от симметричных полок холодильника их нельзя переставить выше или ниже.
В нижней части морозильной камеры располагаются два пластиковых ящика. Их конструкция аналогична емкостям холодильного отделения: оба контейнера закрываются стеклянными полками-перегородками, обеспечивающими более ровный микроклимат.
Как и в холодильном отделении, задняя стенка нижнего ящика заметно скошена: за ним располагается компрессорный отсек.
За ящиками располагается пластиковый вентиляционный кожух сложной формы: он обеспечивает работу системы NoFrost.
Дверца морозилки оборудована четырьмя съемными пластиковыми полками. У двух нижних фиксированное расположение, а верхние можно переставить повыше или пониже: здесь предусмотрено дополнительное крепление.
Объем хранения здесь также необычно велик: глубина полок дверцы морозильника такая же, как и в холодильном отделении.
На верхней стороне корпуса за металлическим кожухом скрывается управляющий блок. На эту конструкцию сложно что-то поставить, поэтому любителям хранить домашнюю утварь на холодильнике придется найти для нее другое место.
В нижней части боковых стенок располагаются вентиляционные решетки, окрашенные в тон основного покрытия.
Отсек компрессорного агрегата в нижней части задней стенки закрыт металлической решеткой, фиксируемой четырьмя винтами. Разумеется, мы не упустили возможность снять ее и заглянуть внутрь.
В левой части отсека расположен компрессор, а справа — змеевик теплообменника с емкостью для сбора конденсата.
В конструкции холодильника использован инверторный компрессор 8MK140NEMV собственного производства LG. Он установлен на резиновых демпферах, снижающих шум и вибрацию.
Змеевик теплообменника снабжен металлическими ребрами, улучшающими энергоэффективность конструкции. Под ним расположена пластиковая ванночка для сбора конденсата. Для улучшения теплообмена между отсеками компрессора и конденсатора размещен вентилятор.
Инструкция
«Большое» руководство пользователя доступно на сайте и традиционно многословно. Здесь вам объяснят всё — вплоть до того, как снять дверцы, если холодильник не пролезает в дверной проем. Правда, нас несколько смутило количество оговорок типа «данная функция доступна только в некоторых моделях» — при полном отсутствии каких-либо упоминаний этих самых моделей. Догадайтесь, дескать, сами.
Полезно почитать про управление — в основном для того, чтобы убедиться, что оно максимально простое и интуитивно было понято вами правильно. Рисунок, на котором показано, что где располагается внутри холодильника, принес нам полезное знание о том, где именно находится термодатчик, с помощью которого отслеживается и поддерживается заданная температура в холодильном и морозильном отделениях (не будем вас томить: и там, и там — над верхом самого верхнего отсека).
Несмотря на то, что у нашей модели управление со смартфона не предусмотрено, его все-таки есть куда приложить, причем это место даже специально обозначено на корпусе.
Приложив смартфон к этому месту и запустив программу LG ThinQ, можно провести быструю внутреннюю диагностику прибора, результаты которой, по идее, существенно облегчат специалистам сервисного центра поиск неисправностей.
В целом, рекомендуемая глубина вчитывания в инструкцию обратно пропорциональна тому, сколько холодильников у вас до этого было раньше и насколько хорошо вы знакомы с основными принципами функционирования этих приборов. Мы ее открывали лишь на конкретных местах, и то в основном для того, чтобы убедиться в верности сделанных нами предположений.
Качество выполнения руководства мы оцениваем как высокое: хорошая полиграфия, правильный русский язык, понятные рисунки и подписи, логичная структура, разумные пояснения. Если пользователь совершенно не знаком с холодильниками, инструкцию можно смело рекомендовать к прочтению целиком. Один раз.
Управление
Если холодильник включен в сеть, на панели управления отображаются значения двух температур: слева — температуры в морозильной камере, справа — в холодильной. Сразу же уточним, что индикация температуры здесь сделана элементарно простой, «без излишеств и тонкостей»: отображается установленная пользователем желательная температура в обеих камерах. Узнать фактическую средствами самого холодильника не представляется возможным.
Там же находятся четыре мембранные кнопки, явным образом ничем не выделенные (то есть нажимать нужно на плоскую поверхность примерно в месте, где находится надпись).
- Express Freeze — режим быстрой заморозки
- Freezer — кнопка регулировки желательной температуры в морозильной камере
- Fridge — кнопка регулировки желательной температуры в холодильной камере
- Express Cool — режим быстрого охлаждения холодильного отделения
Температура в морозильном отсеке регулируется в пределах от −15 до −23 °C, в холодильном — от +1 до +7 °C.
Управление со смартфона
Как мы уже писали выше, управление со смартфона у данной модели не предусмотрено, но смартфон может быть использован для проведения внутренней самодиагностики.
Эксплуатация
В целом, опыт довольно продолжительной эксплуатации данной модели в реальных условиях городской квартиры, мы оцениваем как положительный: никаких раздражающих нелогичностей или неудобств нами выявлено не было. Далее мы в более-менее вольном порядке перечислим всё то, что каким-то образом привлекло наше внимание и показалось нам интересным и не вполне очевидным.
Например, сила, с которой дверцы примагничиваются к корпусу при закрывании, такова, что если открывать дверцу пустого холодильника, то он поедет по полу за вами. И это несмотря на вес более 100 кг! Мы уже было испугались, что это станет проблемой и потребуется как-то дополнительно холодильник закреплять, но когда мы заполнили его продуктами, он стал достаточно тяжел и попыток передвигаться больше не предпринимал.
Несмотря на то что источников света всего два, по одному на камеру, и расположены они на самом верху, по факту никаких проблем с освещением всего отделения не возникает.
Мы даже специально сделали фотографию в полной темноте, чтобы вы могли убедиться, что всё отлично видно, вплоть до самых нижних полок.
Контейнеры для яиц и ледяных кубиков очень легко нашлись на одном из маркетплейсов, причем, как видите, даже вполне подходящих под дверные полочки размеров.
На дверной полке холодильного отделения помещается очень много всего.
Да и в морозилке дверные полки немаленькие: это, например, три пачки сливочного масла по 0,5 кг каждая.
Полки холодильного и морозильного отделений хорошо просматриваются на полную глубину (36 см), в связи с чем почти не возникает «потеряшек» и вопросов из серии «а что это у нас вон там, у самой задней стенки?». Высота между полками зачастую позволяет ставить банки или контейнеры друг на друга.
Дверцы обоих отделений снабжены сигнализацией длительного открытия. Она срабатывает, если дверца была открыта полторы минуты и более, в этом случае каждые 20 секунд раздается мелодичный сигнал. Конечно, можно попривередничать: дескать, тайминги для дверцы морозилки стоило бы сделать поменьше. Однако напомним, что перед нами очень простая конструкция, ее главное достоинство — не «навороты», а объем.
Забавная особенность организации панели управления состоит в том, что для выставления желательной температуры в морозильном отделении вам придется открыть обе дверцы, поскольку дверца морозильного отделения закрывает соответствующую кнопку, а холодильного — цифровой индикатор температуры. А вот чтобы посмотреть обе температуры, достаточно открыть холодильник.
Все полки и ящики мы оставили на тех местах, на которых они находились с завода, и желания что-либо перевесить у нас ни разу не возникло.
В списке положительных качеств этой модели нам бы хотелось отметить не только самое очевидное — вместимость, но и не менее важное — просматриваемость. В нем трудно что-либо «потерять», и это несомненное достоинство.
Уход
Рекомендуется регулярно выполнять очистку поверхностей холодильника, контактирующих с продуктами. Для этого нельзя применять грубые щетки, абразивные вещества (в качестве примера почему-то приведена зубная паста — что, серьезно? кто-то чистит холодильник зубной пастой?), а также горючие вещества и органические растворители. То же самое относится к наружным поверхностям.
Внешние вентиляционные отверстия и решетки рекомендуется время от времени пылесосить, при этом обязательно отключив холодильник от сети «во избежание статического разряда».
Уплотнитель на двери можно протирать мягкой влажной тканью.
Мыть полки или ящики в посудомойке запрещено, это явным образом указано в инструкции.
Для очистки крышки конденсатора и вентиляционных отверстий рекомендуется использовать пылесос с щеткой. При этом снимать панель, закрывающую змеевик конденсатора, не нужно. Рекомендованная частота данной операции — не реже раза в год.
Дезодоратор (он находится за верхним ящиком холодильника) можно «освежить». Для этого нужно открутить винт, нажать на фиксирующие зажимы, достать дезодоратор, высушить его феном и установить обратно.
Наши измерения
Объем
Полезным объемом холодильника мы считаем суммарный объем всех ящиков и полок прибора, вычисляемый через измерения внутренних емкостей.
Именно поэтому результаты наших измерений гарантированно никогда не совпадут со значениями, которые указывают в документации производители холодильников: они указывают полный объем отсеков, а мы стараемся подсчитать полезный.
Результаты измерений при помощи рулетки мы приводим в таблице.
| Холодильное отделение | Высота, см | Ширина, см | Глубина, см | Общий объем, л |
|---|---|---|---|---|
| Полки | 107 | 45 | 39 | 183,0 |
| Ящик 1 | 22 | 39 | 35 | 30,0 |
| Ящик 2 | 22 | 39 | 29 | 24,9 |
| Полки на дверце | 129 | 41 | 21 | 111,1 |
| Итого, л | 349,0 | |||
| Морозильное отделение | Высота, см | Ширина, см | Глубина, см | Общий объем, л |
| Полки | 107 | 31 | 32 | 106,1 |
| Ящик 1 | 23 | 27 | 30 | 18,6 |
| Ящик 2 | 23 | 27 | 24 | 14,9 |
| Полки на дверце | 128 | 26 | 17 | 56,6 |
| Итого, л | 196,7 | |||
Соответственно, согласно нашим измерениям, общая емкость холодильника составляет 546 литров. По данным производителя, полезный объем — 658 л, полный — 703 л.
Таким образом, для LG GC-B257KEHW измеренный нами полезный объем составляет примерно 83% от указанного в документации. Давайте «ткнем пальцем в небо» и посмотрим, каков этот показатель для другого большого холодильника, который побывал у нас в тестовой лаборатории. Пусть это будет Cross-door-модель Lex LCD450XID. Полезный объем, указанный производителем — 417 л, измеренный нами — 333 л. Коэффициент, соответственно, 80%. Как видите, очень похожие цифры.
Энергопотребление и шум
Энергопотребление устройства мы измеряли в режиме максимальной мощности в течение 3 суток. За это время холодильник потратил 3,561 кВт·ч. Максимальное суточное энергопотребление составляет, соответственно, 1,187 кВт·ч: для такого объемного прибора это не слишком много.
Шум при работе компрессора не превышает 34 дБ(А).
| Максимальное зафиксированное энергопотребление | 225 Вт |
|---|---|
| Суточное энергопотребление в максимальном режиме | 1,187 кВт·ч |
| Уровень шума при работающем компрессоре | 34 дБ(А) |
Тепловыделение
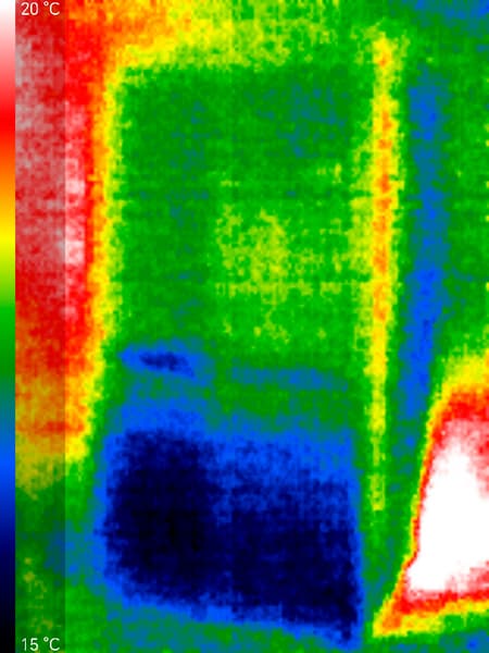
Мы сделали снимки прибора в инфракрасном диапазоне со всех четырех сторон. Ввиду ограничений использованного для размещения холодильника помещения, на некоторые из них попали лишние, не относящиеся к обзору детали, но, тем не менее, общая картина вполне ясна.
На всех фото ярко выделяется место размещения испарителя и компрессора (и даже некий небольшой шлейф нагретого воздуха), но при этом максимальная присутствующая на изображениях температура — 32 °C. Это свидетельствует о неплохой теплоизоляции самого прибора и относительно низком тепловыделении. За счет того, что все тепловыделяющие элементы сосредоточены в одном месте, стенки холодильника вообще не нагреваются.
Практические тесты
Для измерения производительности холодильников и морозильных камер и оценки термоизоляции их корпусов наша лаборатория создала программно-аппаратный комплекс на базе мини-компьютера Arduino и цифровых датчиков DS18B20, рассчитанных на работу в диапазоне температур от −55 до +125 °C и обеспечивающих точность измерений в ±0,5 °C в диапазоне от −10 до +85 °C.
Чтобы тепловыделение процессора не влияло на микроклимат в камере и результаты измерений, прибор размещается снаружи холодильника. Датчики соединяются с мини-компьютером тремя проводами сечением 0,3 мм² с дополнительной герметизацией в месте прохождения под уплотнителем дверцы.
Измерения морозильной камеры
Три термодатчика в герметичном исполнении были размещены в трех четырехлитровых пластиковых контейнерах. Емкости мы наполнили водой и поставили в морозилку: одну на верхнюю полку, вторую — в третью сверху, а третью поместили в верхний ящик.
Капсулы датчиков располагались по возможности ближе к центру контейнеров.
Помимо датчиков температуры воды, использовались датчики температуры воздуха. Их мы поместили рядом с контейнерами в те же ящики — так, чтобы поверхность сенсоров не контактировала напрямую с элементами корпуса морозильной камеры.
Суммарный объем замораживаемого балласта составил 12 литров.
Измерения холодильной камеры
Чтобы имитировать работу загруженного холодильника, в процессе тестирования холодильной и универсальной камер мы использовали водяной балласт в таких же четырехлитровых контейнерах, как и при испытании морозилки. Кроме того, на полки и дверцы мы положили несколько пластиковых бутылок с водой.
Измерения температуры воздуха внутри холодильной камеры проводились при помощи семи датчиков: четыре на полках, как можно ближе к их геометрическому центру, пятый и шестой были опущены в ящики зоны свежести. Еще один датчик разместились на полке дверцы.
Суммарный объем охлаждаемого балласта составил 22 литра.
Работа холодильной камеры
Как известно, температура внутри холодильника зависит не только от установленной мощности охлаждения, но и от расположения охлаждаемого продукта. Мы включили холодильник с балластом в режиме максимальной мощности и проследили за изменениями температуры в камерах в течение суток (здесь и далее нумерация полок производится сверху вниз). Результаты измерений можно видеть на графике.
Чтобы уменьшить температуру с комнатной до заданной, холодильнику потребовалось работать около 24 часов. Всё это время компрессор работал в импульсном режиме.
Рассмотрим график изменения температур подробнее.
На графике можно видеть, что во всех точках измерения температура колеблется в относительно широких пределах, понижаясь при включении компрессора и плавно повышаясь после его отключения.
Наиболее ровный микроклимат — в ящиках зоны свежести. Перепад температуры и влажности здесь почти незаметен, что позволяет сохранять зелень, фрукты и овощи свежими.
Считаем необходимым еще раз подчеркнуть, что приведенные графики иллюстрируют не потребительские качества холодильника, а особенности логики работы холодильного агрегата и циркуляции холодного воздуха между зонами камеры. Не следует удивляться таким, на первый взгляд, существенным колебаниям: охлажденные продукты обладают значительно большей тепловой инерцией, нежели воздух в камере, и переносят циклические изменения температуры нормально.
С потребительской точки зрения куда важнее средняя температура в разных зонах холодильника. Ее мы замеряли в течение суток на каждой из полок холодильного отделения в режиме максимального охлаждения. Полученные данные свели в таблицу.
| Температура, °C | Максимальная | Минимальная | Средняя |
|---|---|---|---|
| Полка 1 | +2,0 | −1,3 | +0,4 |
| Полка 2 | +1,8 | −0,7 | +0,9 |
| Полка 3 | +2,4 | +0,7 | +1,7 |
| Полка 4 | +3,3 | +1,6 | +2,7 |
| Ящик 1 | +4,3 | +3,9 | +4,1 |
| Ящик 2 | +5,0 | +4,8 | +4,9 |
| Дверца | +2,8 | +0,8 | +2,1 |
Работа морозильной камеры
Чтобы оценить замораживающую способность холодильника, мы поместили по контейнеру с водой комнатной температуры на первую и четвертую полки морозильной камеры, третий контейнер разместили в верхнем ящике, после чего включили режим максимального охлаждения. Результаты измерений температуры воды и воздуха можно видеть на графике ниже.
Вода в контейнерах, размещенных на полках, охладилась до нуля почти одновременно — примерно через четыре часа с начала теста. Еще через полтора часа к нулю приблизилась температура воды в сосуде, помещенном в верхний ящик морозилки. Признаки замерзания воды в центре морозильного отделения и в ящике мы видим через 12 часов, а дольше всего сохраняла жидкое состояние вода на верхней полке.
После этого температура льда продолжила снижаться, достигнув установленной минимальной температуры примерно через 34 часа после начала теста.
Разморозка холодильника
Чтобы оценить теплоизоляцию корпуса и понять, как долго удерживает холод отключенное от сети устройство, мы выключили предварительно охлажденный прибор с балластом и понаблюдали за изменением температуры.
На графике можно видеть, что температура в контейнере на первой полке морозильного отделения приблизилась к нулю через 7 часов с начала теста. Через 10 часов нулевой отметки достигла температура в емкости на третьей полке, а таяние льда в верхнем ящике началось спустя приблизительно 14 часов после отключения электричества.
Теплоизоляцию холодильника мы оцениваем как хорошую. Лучше всего защищены от внезапного блэкаута продукты в нижних ящиках: этому способствует как сама конструкция отделения, так и расположение контейнеров.
Выводы
В целом, после более чем месяца эксплуатации, хозяин холодильника с уверенностью может заявить, что поставленные цели были достигнуты успешно и полностью: LG GC-B257KEHW смог заменить старый Sharp SJ-69M-BE как холодильник по объему, при этом в плане доступа к продуктам оказался даже более удобен, благодаря увеличенным по глубине полочкам на дверце и, соответственно, менее глубоким отсекам в самом холодильнике, что способствует хорошей видимости и удобству доставания продуктов.
Сильно проапгрейженная по объему морозилка тоже оказалась очень удобной, в том числе за счет тех же «фишек», что у холодильного отделения: глубокие полочки на двери и не переуглубленные отсеки, содержимое которых легко разглядеть.
Прибор оказался очень тихим: его трудно услышать даже на фоне работающей потолочной вентиляции, не говоря уже о тихом разговоре или работающих кухонных инструментах. Кипящая кастрюля с бульоном на плите — и та звучит громче.
Формально отсутствующая фреш-зона де-факто есть, просто ее так не называют в инструкции. Возможности регулировки температуры для обоих отделений нами признаны достаточными. Относительно большой разброс температур между различными отделениями холодильника при знании этой особенности превращается из бага в фичу — этим знанием можно пользоваться при распределении продуктов по отсекам. Слабые возможности по регулировке полок компенсируются тем, что изначальная их конфигурация для большинства практических задач подходит весьма удачно.
Что же касается отсутствующих лотков для яиц и льда, то они покупаются в любом онлайн-маркетплейсе, еще и с возможностью выбора нужной именно владельцу конфигурации и вместимости.
Плюсы:
- большая емкость при умеренной цене
- удобные и вместительные полки на дверцах
- тихая работа
- хорошая теплоизоляция
Минусы:
- минималистичная комплектация
- отсутствие «модных» функций
- скромные возможности по конфигурированию полок






































