Предысторию, наверное, знают все: торговые войны США и Китая, запрет на использование сервисов Google в новейших смартфонах Huawei... Пока китайская компания пытается нащупать правильный путь в сложившейся ситуации: рассматривает варианты выпуска собственной ОС, собственного набора мобильных сервисов, обеспечения легкого способа установить GMS после покупки смартфона и т. д. Huawei Mate 30 Pro — одна из таких попыток: этот флагманский мобильный аппарат выпущен на стандартной (причем свежей, десятой) версии Android, но без сервисов Google. Что из этого получилось и насколько интересен такой аппарат, разбираемся в полноценном обзоре смартфона под названием Huawei Mate 30 Pro.
Основные характеристики Huawei Mate 30 Pro (модель LIO-AL00)
- SoC Huawei Kirin 990, 8 ядер: 2×Cortex-A76 @2,86 ГГц, 2×Cortex-A76 @2,09 ГГц, 4×Cortex-A55 @1,86 ГГц
- GPU Mali-G76 MP16
- Операционная система Android 10, EMUI 10
- Сенсорный дисплей OLED 6,53″, 2400×1176, 18,5:9, 409 ppi, HDR10
- Оперативная память (RAM) 8 ГБ, внутренняя память 128/256 ГБ
- Поддержка карт NM до 256 ГБ
- Поддержка Nano-SIM (2 шт.)
- Сети GSM/WCDMA
- Сети LTE Cat.21, LTE FDD: Band 1—9, 12, 17—20, 26, 28, 32; TD-LTE: Band 34, 38, 39, 40, 41
- GPS/A-GPS, Глонасс, BDS, Galileo, QZSS
- Wi-Fi 802.11a/b/g/n/ac (2,4 и 5 ГГц)
- Bluetooth 5.0, LE, aptX и aptX HD
- NFC
- ИК-порт
- USB 3.1 Type-C, USB OTG
- Аудиовыхода на наушники (3,5 мм) нет
- Основная камера: 40 Мп (f/1,6) + 8 Мп (f/2,4) + 40 Мп (f/1,8) + 3D TOF-камера
- Фронтальная камера 32 Мп (f/2,0), 3D TOF-камера
- Датчики приближения и освещения, магнитного поля, акселерометр, гироскоп
- Сканер отпечатков пальцев (встроен в экран)
- Аккумулятор 4500 мА·ч, быстрая зарядка 40 Вт, быстрая беспроводная зарядка 27 Вт
- Размеры 158×73×8,8 мм
- IP68
- Масса 198 г
| Розничные предложения |
|---|
Внешний вид и удобство использования
Huawei Mate 30 Pro неожиданно удивил своей практичностью. При взгляде на первоначальные изображения аппарата с сильно загнутым по краям экраном и сошедшей почти на нет боковой рамкой появлялись опасения, что в руке такой корпус будет скользить еще больше, чем даже у Huawei P30 Pro. Но на деле все оказалось не совсем так: тонкий и узкий аппарат без боковых рамок неплохо удерживается в ладони. Хотя, конечно, это не отменяет того факта, что загнутые края экрана никому не нужны: они сильно бликуют, «съедают» часть информации и делают бока корпуса менее стойкими к ударам и царапинам.
Стекло имеет качественное олеофобное покрытие, поэтому не только не скользит, но и отпечатками пальцев покрывается не быстро. Что же до сильно загнутых краев дисплея (такой тип экранов получил название waterfall screen — «водопад»), то они красиво смотрятся, но не чувствительны к прикосновениям (имеют слепые зоны), поэтому проблем с ошибочными нажатиями нет.
Здесь найдено удачное сочетание этого загнутого экрана (он и у Huawei P30 Pro был загнут, но в данном случае края дисплея значительно глубже заходят на боковины) и формы корпуса. Если бы углы были загнуты сильнее, как у тех же Huawei P30 Pro и Honor 20 Pro, то аппарат бы не выглядел столь серьезно. В данном случае Mate 30 Pro очень схож с Samsung Galaxy Note 10+, и это явно не молодежный стиль, а строгий и дорогой, премиальный класс.


В итоге можно признать, что из трех последних топовых смартфонов компании (Huawei P30 Pro, Honor 20 Pro и Mate 30 Pro) последний получил самый выдающийся в плане эффектного вида дизайн и при этом самый практичный и удобный для удержания в руке. Honor 20 Pro в плане практичности тоже неплох, но он смотрится, конечно, не столь дорого и солидно.
Аппарат не из маленьких: он широкий и очень длинный, при этом довольно тяжелый, так что держать его не особенно комфортно — в отличие от того же изящного и гораздо лучше удерживающегося в руке Huawei P30. Это, к сожалению, минус старшего устройства, которое интереснее технически, но хуже в плане практичности.
А вот в сравнении с Huawei P30 Pro герой обзора выигрывает по всем показателям: он и смотрится дороже за счет более угловатых форм и необычного «экрана-водопада», и в руках удерживается не хуже.
Есть, конечно, и свои минусы у Mate 30 Pro, куда ж без них... Во-первых, довольно страшненько смотрится здоровенный черный круглый выпирающий модуль с камерами, вписанный в прямоугольник корпуса. Уж на что все ругают дизайн новых iPhone 11, но тут сделали еще страшнее.
Но куда ужаснее то, что в Mate 30 Pro вообще отсутствуют клавиши управления громкостью. Их просто нет на корпусе — наверное, из-за слишком глубоко заходящих на боковины краев экрана? В результате регулировать громкость чрезвычайно неудобно, особенно в играх и при просмотре фильмов. Приходится нащупывать специальное место на боку, делать сперва двойной тап по этой зоне, а потом другой рукой трогать ползунок громкости, возникающий где-то сбоку на другой стороне экрана, если держать смартфон в ландшафтном положении. В общем, ничего более неудобного для управления громкостью еще не придумали.
Сканер отпечатков пальцев переместился под стекло дисплея, и с этого места уже начинаются сплошные плюсы. Ни один из смартфонов с подэкранным сенсором еще не демонстрировал такую безупречную четкость и быстроту работы данного типа датчика! У Mate 30 Pro сенсор под стеклом срабатывает так же быстро и безотказно, как привычные сканеры отпечатков пальцев. Чем это вызвано — пока непонятно, ведь у героя обзора и фирменная оболочка новейшей версии, и версия Android тоже самая последняя, но вряд ли сам сканер принципиально иной, чем у того же P30 Pro. Однако работает он быстрее, факт.
Вырез в экране («челка») имеется, и довольно широкий. Обусловлено это, как и у iPhone, наличием не одной камеры, а нескольких датчиков, которые в роли 3D TOF-камеры выполняют функцию создания трехмерной карты лица и обеспечивают надежную разблокировку по лицу.
Отдельного разговорного динамика у смартфона нет, для сбережения места над экраном использована уже знакомая по P30 Pro пьезотехнология передачи звука через стекло.
Лоток для двух карточек Nano-SIM гибридный, для установки в него карты памяти придется жертвовать одной из SIM-карт. Правда, установить в него привычную всем карточку microSD все равно невозможно — здесь годится только редкая карточка формата NM. Поддерживается горячая замена.
Резиновая прокладка у крышки лотка намекает на наличие защиты корпуса от воды по стандарту IP68.
В нижнем торце установлены динамик, разъем USB Type-C, микрофон, а также разъем для установки карточек. 3,5-миллиметровый выход для наушников отсутствует.
Сверху, помимо дополнительного микрофона, можно найти еще и глазок ИК-передатчика, который помогает эмулировать пульт ДУ.
Huawei Mate 30 Pro предлагается в нескольких вариантах оформления, причем речь идет не только о разном окрасе корпуса, но и о различной отделке. Так, можно будет приобрести аппарат со стеклянной задней стенкой (серебристый, зеленый, фиолетовый или черный) или с отделкой «под кожу».
Экран
Huawei Mate 30 Pro оснащен OLED-дисплеем с диагональю 6,53 дюйма и разрешением 2400×1176. Дисплей прикрыт 3D-стеклом Gorilla Glass 6, загнутым с двух боковых сторон. Физические размеры экрана составляют 72×150 мм, соотношение сторон — 18,5:9, плотность точек — 409 ppi. Рамка вокруг экрана имеет ширину 5 мм снизу и 4 мм сверху.


Лицевая поверхность экрана выполнена в виде стеклянной пластины с зеркально-гладкой поверхностью, устойчивой к появлению царапин. Судя по отражению объектов, антибликовые свойства экрана не хуже, чем у экрана Google Nexus 7 (2013) (далее просто Nexus 7). Для наглядности приведем фотографию, на которой в выключенных экранах отражается белая поверхность (слева — Nexus 7, справа — Huawei Mate 30 Pro, далее их можно различать по размеру):
Экран у Huawei Mate 30 Pro заметно темнее (яркость по фотографиям 109 против 119 у Nexus 7) и не имеет выраженного оттенка. Двоение отраженных объектов в экране Huawei Mate 30 Pro очень слабое, это свидетельствует о том, что между слоями экрана нет воздушного промежутка. За счет меньшего числа границ (типа стекло/воздух) с сильно различающимися коэффициентами преломления экраны без воздушного промежутка лучше смотрятся в условиях интенсивной внешней засветки, но вот их ремонт в случае потрескавшегося внешнего стекла обходится гораздо дороже, так как менять приходится экран целиком. На внешней поверхности экрана Huawei Mate 30 Pro есть специальное олеофобное (жироотталкивающее) покрытие (эффективное, заметно лучше, чем у Nexus 7), поэтому следы от пальцев удаляются существенно легче, а появляются с меньшей скоростью, чем в случае обычного стекла.
При выводе белого поля во весь экран и при ручном управлении яркостью ее максимальное значение составило 425 кд/м² в обычных условиях, на очень ярком свету оно повышается до 600 кд/м². В данном случае чем меньше площадь белого на экране, тем он светлее, то есть фактическая максимальная яркость белых участков будет почти всегда выше указанных значений. В итоге читаемость экрана днем на солнце должна быть на хорошем уровне. Минимальное значение яркости — 1,6 кд/м², то есть пониженный уровень яркости без проблем позволяет использовать устройство даже в полной темноте. Работает автоматическая регулировка яркости по датчику освещенности (он расположен в вырезе экрана справа от центра). Работа этой функции зависит от положения ползунка регулировки яркости: им пользователь может попытаться выставить желаемый уровень яркости в текущих условиях. Если оставить все по умолчанию, то в полной темноте функция автояркости уменьшает яркость до 7 кд/м² (чуть темновато), в условиях освещенного искусственным светом офиса (примерно 550 лк) устанавливает на 130 кд/м² (нормально), в очень ярком окружении (условно соответствует нахождению на прямом солнечном свету) повышает до 600 кд/м² (до максимума, так и нужно). Результат нас не совсем устроил, поэтому мы в полной темноте чуть увеличили яркость, получив в итоге для трех условий, указанных выше, следующие значения: 20, 160, 600 кд/м² (отлично). Получается, что функция автоподстройки яркости работает адекватно и позволяет настраивать свою работу под индивидуальные требования.
Только на низком уровне яркости появляется значимая модуляция с частотой 240 Гц. На рисунке ниже приведены зависимости яркости (вертикальная ось) от времени (горизонтальная ось) для нескольких значений настройки яркости:

Видно, что на максимальной и средней яркости амплитуда модуляции небольшая, в итоге видимого мерцания нет. Однако при сильном понижении яркости появляется модуляция с большой относительной амплитудой, ее наличие уже можно увидеть в тесте на присутствие стробоскопического эффекта или просто при быстром движении глаз. В зависимости от индивидуальной чувствительности такое мерцание может вызывать повышенную утомляемость. Впрочем, фаза модуляции различается по площади экрана, поэтому негативный эффект от мерцания снижен. Те, кому все равно кажется, что мерцание вызывает дискомфорт, могут попробовать включить функцию со, слава богу, наконец-то нормальным названием Снижение мерцания:
В англоязычной литературе и в новостях обычно используют название DC Dimming. Действительно, при включении этой функции обнаруживаемого мерцания уже нет на любом уровне яркости:

В качестве побочного эффекта есть какое-то увеличение шума на изображении. По факту, из-за того, что шум проявляется только на очень низкой яркости, и то на уровне отдельных пикселей, глаз не видит сколько-нибудь значительного увеличения шума, а значит, функцию DC Dimming вполне допустимо использовать без ограничений.
В этом экране используется матрица AMOLED — активная матрица на органических светодиодах. Полноцветное изображение создается с помощью субпикселей трех цветов — красного (R), зеленого (G) и синего (B), но красных и синих субпикселей в два раза меньше, что можно обозначить как RGBG. Это подтверждается фрагментом микрофотографии:

Для сравнения можно ознакомиться с галереей микрофотографий экранов, используемых в мобильной технике.
На фрагменте выше можно насчитать 4 зеленых субпикселя, 2 красных (4 половинки) и 2 синих (1 целый и 4 четвертушки), при этом, повторяя эти фрагменты, можно выложить весь экран без разрывов и перехлеста. Для таких матриц компания Samsung ввела наименование PenTile RGBG. Разрешение экрана производитель считает по зеленым субпикселям, по двум другим оно будет в два раза ниже. Разумеется, присутствуют некоторая неровность контрастных границ и другие артефакты. Впрочем, из-за высокого разрешения они лишь минимально сказываются на качестве изображения.
Экран характеризуется великолепными углами обзора. Правда, белый цвет при отклонении даже на небольшие углы приобретает едва заметный сине-зеленый или розоватый оттенок. Зато черный цвет остается просто черным под любыми углами. Он настолько черный, что параметр контрастности в данном случае неприменим. Для сравнения приведем фотографии, на которых на экраны Huawei Mate 30 Pro (профиль Обычные [цвета]) и второго участника сравнения выведены одинаковые изображения, при этом яркость экранов изначально установлена примерно на 200 кд/м², а цветовой баланс на фотоаппарате принудительно переключен на 6500 К.
Белое поле:
Отметим хорошую равномерность яркости и цветового тона белого поля (за исключением едва видимого затемнения и изменения оттенка к загнутым краям).
И тестовая картинка (профиль Обычные):
Цветопередача хорошая, цвета в меру насыщенные, цветовой баланс у экранов немного различается. Напомним, что фотография не может служить надежным источником сведений о качестве цветопередачи и приводится только для условной наглядной иллюстрации. В частности, выраженный красноватый оттенок белого и серого полей, присутствующий на фотографиях экрана Huawei Mate 30 Pro, при перпендикулярном взгляде визуально отсутствует, что подтверждается аппаратными тестами с помощью спектрофотометра. Причина в том, что спектральная чувствительность матрицы фотоаппарата неточно совпадает с этой характеристикой человеческого зрения. Заметим, что в данном случае картинка занимает в высоту (при ландшафтной ориентации экрана) всю доступную для вывода изображения область и заходит на загнутые края экрана, что приводит к легкому затемнению и искажению цвета. Также на свету эти области почти всегда бликуют, что еще больше мешает при просмотре изображений, выведенных на весь экран. И даже картинка фильмов с соотношением сторон 16:9 заходит на загибы, что очень не к месту в случае видео.
Фотография выше получена после выбора профиля Обычные [цвета] в настройках экрана, всего их два:
Профиль Яркие [цвета] (выбран по умолчанию) отличается увеличенной насыщенностью:
Теперь под углом примерно 45 градусов к плоскости и к стороне экрана.
Белое поле:
Яркость под углом у обоих экранов заметно уменьшилась (чтобы избежать сильного затемнения, выдержка увеличена в сравнении с предыдущими фотографиями), но в случае Huawei Mate 30 Pro падение яркости выражено гораздо меньше. В итоге при формально одинаковой яркости экран Huawei Mate 30 Pro визуально выглядит гораздо более ярким (в сравнении с ЖК-экранами), так как на экран мобильного устройства часто приходится смотреть как минимум под небольшим углом.
И тестовая картинка:
Видно, что цвета не сильно изменились у обоих экранов и яркость у смартфона Huawei Mate 30 Pro под углом заметно выше.
Переключение состояния элементов матрицы выполняется практически мгновенно, но на фронте включения может присутствовать ступенька шириной примерно 17 мс (что соответствует частоте обновления экрана в 60 Гц). Например, так выглядит зависимость яркости от времени при переходе от черного к белому и обратно:

В некоторых условиях наличие такой ступеньки может приводить к шлейфам, тянущимся за движущимися объектами. Впрочем, динамичные сцены в фильмах на экранах OLED отличаются высокой четкостью и даже некоторой «дерганностью» движений.
Построенная по 32 точкам с равным интервалом по численному значению оттенка серого гамма-кривая показала, что существенного завала нет ни в светах, ни в тенях. Показатель аппроксимирующей степенной функции равен 2,36, что больше стандартного значения 2,2, при этом реальная гамма-кривая заметно отклоняется от степенной зависимости:

Напомним, что в случае OLED-экранов яркость фрагментов изображения динамично меняется в соответствии с характером выводимого изображения — чуть уменьшается для светлых в целом изображений. В итоге полученная зависимость яркости от оттенка (гамма-кривая), скорее всего, не соответствует гамма-кривой статичного изображения, так как измерения проводились при последовательном выводе оттенков серого почти на весь экран.
Цветовой охват в случае профиля Яркие очень широкий — практически равен DCI-P3:

При выборе профиля Обычные охват сжимается до границ sRGB:

Без коррекции спектры компонент очень хорошо разделены (но какое-то подмешивание есть):

В случае профиля Обычные с максимальной коррекцией компоненты цветов подмешиваются друг к другу в заметно большей степени:

Отметим, что на экранах с широким цветовым охватом (без соответствующей коррекции) цвета́ обычных изображений, оптимизированных для устройств sRGB, выглядят неестественно насыщенными. Отсюда и рекомендация: в большинстве случаев смотреть кино, фотографии и все естественное лучше при выборе профиля Обычные, и только если фотография или видео имеют охват DCI-P3, принятый в цифровом кинематографе и «родной» для топовых устройств Apple, имеет смысл переключить профиль на Яркие.
В случае профиля Обычные баланс оттенков на шкале серого хороший, так как на белом поле цветовая температура лишь немного ниже стандартных 6500 К, и отклонение от спектра абсолютно черного тела (ΔE) ниже 3 единиц, что для потребительского устройства считается очень хорошим показателем.
В этом устройстве есть возможность скорректировать цветовой баланс с помощью выбора профиля цветовой температуры или регулировки оттенка на цветовом круге, что мы и попытались сделать. Удалось еще больше приблизить цветовую температуру к 6500 К, и, в общем-то, всё (графики с подписью Обычные корр.).


С практической точки зрения смысла делать корректировку нет, достаточно выбрать профиль Обычные.
Присутствует функция Естественный тон, которая, если ее включить, подстраивает цветовой баланс под условия окружающей среды.
К примеру, мы ее активировали и поместили смартфон под светодиодные светильники с холодным белым светом, получив в итоге значения 2,8 для ΔE и 6100 К для цветовой температуры. Под галогеновой лампой накаливания (теплый свет) — 3,5 и 5200 К соответственно, то есть цветовая температура стала ниже. Функция работает так, как и ожидалось. Отметим, что сейчас сложившимся стандартом является калибровка устройств отображения к точке белого в 6500 К, но в принципе, коррекция под цветовую температуру внешнего света может принести пользу, если хочется добиться лучшего соответствия изображения на экране тому, что видно на бумаге (или на любом носителе, на котором цвета формируются за счет отражения падающего света) в текущих условиях. В случае потребительского устройства надобность в данной функции нулевая, но раз один из лидеров рынка ее недавно ввел, то и другому лидеру пришлось подтянуться.
Есть модная нынче функция снижения интенсивности синей компоненты (снимок с экран был выше). В ее описании, конечно, приведен традиционный бред про УФ-излучение и усталость глаз, но такая коррекция, в принципе, может быть полезной, что разъяснено в нашей статье про iPad Pro 9,7″. Однако в любом случае, при развлечении с планшетом или смартфоном на ночь глядя лучше просто снизить яркость экрана до комфортного уровня. Дополнительно желтить экран никакого смысла нет.
Подведем итоги. Экран имеет очень высокую максимальную яркость (600 кд/м²) и обладает отличными антибликовыми свойствами, поэтому устройством без особых проблем можно пользоваться вне помещения даже летним солнечным днем. В полной темноте яркость можно понизить до комфортного значения. Допустимо использовать режим с автоматической подстройкой яркости, работающий адекватно. К достоинствам экрана нужно отнести эффективное олеофобное покрытие, а также близкий к sRGB цветовой охват и хороший цветовой баланс (при выборе правильного профиля). Заодно напомним про общие достоинства OLED-экранов: истинный черный цвет (если в экране ничего не отражается) и заметно меньшее, чем у ЖК, падение яркости изображения при взгляде под углом. Типичного для OLED недостатка — значимой модуляции яркости экрана, появляющейся на низкой яркости — можно избежать, включив функцию Снижение мерцания, поэтому недостатков у экрана практически нет, его качество очень высокое. Отдельно отметим, что с точки зрения качества изображения, от загнутых краев только вред, так как эта дизайнерская находка вносит искажения цветового тона и уменьшает яркость на краях картинки, а в условиях внешней освещенности приводит к неизбежным бликам вдоль хотя бы одной длинной стороны экрана.
Камера
Фронтальная камера Huawei Mate 30 Pro имеет модуль с матрицей на 32 Мп и объектив с диафрагмой f/2,0 без автофокусировки. Камера такая же, как в P30 Pro, ее возможностей вполне достаточно большинству пользователей: она обеспечивает неплохую детализацию и резкость, правильную цветопередачу, но демонстрирует небольшую белесость и недостаток контрастности.
А вот алгоритмы обтравки центрального объекта в кадре для размытия фона вокруг него все еще далеки от идеала, в сложной обстановке и особенно при сложной прическе они по-прежнему пасуют, не могут полноценно имитировать «оптическую» малую глубину резкости.


Основной модуль тыльной камеры имеет специально разработанный Sony для Huawei сенсор 40 Мп и объектив с диафрагмой f/1,6, он снабжен PDAF-автофокусом и оптической стабилизацией изображения. У сенсора, названного Super Spectrum, необычная структура субпикселей матрицы: красных, желтых (их в два раза больше) и синих — RYYB. Массив Bayer RYYB призван обеспечивать качественную работу камеры в условиях недостаточного освещения.
Камера отлично справляется с портретами, мягко размывая фон и четко обрезая основной объект. Также она достойно делает макроснимки при автоматических настройках, хотя отдельного такого режима в настройках нет.


В целом тут можно только повторить то, что мы писали в обзоре Huawei P30 Pro: камера по-настоящему флагманская, ей хорошо удаются снимки даже при слабом освещении, ну а на ярком солнце этот смартфон просто король.
Интерфейс приложения камеры подразумевает, что пользователи в основном будут снимать в разрешении 10 Мп: оно выставлено по умолчанию, а разрешение 40 Мп скрыто от глаз, его надо выбирать вручную в настройках. Опять-таки, тесты подтвердили то, что мы уже писали раньше про камеры Huawei P30 Pro: деталей при съемке в 40 Мп больше, однако картинка значительно менее обработанная, и в сложных сценах эти детали могут выглядеть хуже. Так что если нет задачи вывода снимков на печать, мы бы рекомендовали оставить настройку разрешения по умолчанию — просто всегда держать в уме, что у вас есть некоторый резерв.
Второй модуль получил телеобъектив с апертурой f/2,4 и сенсор на 8 Мп, автофокус и оптическую стабилизацию изображения, он позволяет реализовать трехкратный оптический зум. Также можно задействовать гибридный пятикратный и максимальный тридцатикратный цифровой зум. Качество съемки отличное, это достойный напарник для основного модуля.








Про третий модуль разговор особый. Широкоугольный объектив для топовых смартфонов уже не редкость, но ни один еще не демонстрировал по-настоящему флагманского качества съемки. Здесь же и матрица огромная (1/1,54″), и разрешение максимальное (40 Мп), и оптика светлая (f/1,8). В сравнении с главным модулем он все равно демонстрирует сниженную детализацию, но все-таки в целом снимки смотрятся совсем неплохо.
Но главное, что широкоугольный модуль со столь серьезной матрицей с высоким разрешением и светлой оптикой еще и является основным модулем для видеосъемки. Именно на эту функцию делали во время презентации камеры упор разработчики. Этот модуль даже автоматически становится основным по умолчанию в режиме видеосъемки.
Жаль только, что все-таки не получилось плавной «бесшовной трансфокации», как на зум-объективах. Разработчики даже сделали вместо привычных кнопок зума ползунок с невнятной отсечкой (то есть трудно попасть ровно на деления, соответствующие разным объективам), но все равно плавного наезда/отъезда нет, явственно присутствуют рывки и небольшие задержки.
Зато разработчики довольно хорошо научились справляться с замедленной видеосъемкой. Huawei Mate 30 Pro умеет снимать с замедлением в 256 раз (скорость съемки — 7680 кадров в секунду)!
Вообще же видео можно снимать в максимальных форматах 4K при 30 fps или 1080р при 60 fps. Доступны на выбор кодеки H.264 и H.265. Есть оптическая стабилизация. Качество съемки в старших режимах достойное: камера снимает видео с широким динамическим диапазоном и правильной цветопередачей, детализация высокая. Звук также записывается качественно, искажений в виде эха нет.
- Ролик №1 (49 МБ, 3840×2160@60 fps, H.264, AAC)
- Ролик №2 (36 МБ, 3840×2160@60 fps, H.264, AAC)
- Ролик №3 (77 МБ, 3840×2160@60 fps, H.264, AAC)
- Ролик №4 (84 МБ, 3840×2160@60 fps, H.264, AAC)
Телефонная часть и коммуникации
Смартфон поддерживает максимальное количество диапазонов частот LTE: band 1(2100), 2(1900), 3(1800), 4(1700/2100), 5(850), 6(900), 7(2600), 8(900), 9(1800), 12(700), 17(700), 18(800), 19(800), 20(800), 26(850), 28(700), 32(1500), 34(2000), 38(2600), 39(1900), 40(2300), 41(2500) у глобальной версии. Естественно, поддерживаются все распространенные в России диапазоны LTE FDD (Band 3, 7, 20) и LTE TDD Band 38. Существует модификация смартфона с поддержкой 5G (которой Huawei гордится), но нам на тест по понятным причинам прислали модель без поддержки этой технологии. На практике в пределах городской черты московского региона аппарат демонстрирует уверенную работу в беспроводных сетях, не теряет связь, быстро восстанавливает связь после вынужденного обрыва. К работе модуля Wi-Fi (2,4 и 5 ГГц, с поддержкой 802.11ac) также нет претензий. Есть Bluetooth 5.0, в наличии модуль NFC.
Быстрый порт USB 3.1 Type-C имеет поддержку USB On-The-Go и передает набор мелких файлов объемом 1,2 ГБ за 37 секунд. то есть скорость копирования данных составляет минимум 33 МБ/с.
Навигационный модуль работает с GPS (двухчастотный, с A-GPS), с отечественной Глонасс, с китайской Beidou и с европейской Galileo. Первые спутники при холодном старте обнаруживаются быстро, в течение первых же секунд, точность позиционирования не вызывает претензий. Магнитный компас, необходимый для навигационных программ, на месте.




Телефонное приложение поддерживает Smart Dial, то есть во время набора телефонного номера сразу осуществляется и поиск по первым буквам в контактах. Способы сортировки и отображения контактов стандартны для интерфейса Android, есть возможность блокировки нежелательных контактов. Вибровызов средней мощности. Голос собеседника в динамике разборчив, звук чистый и громкий, а вот штатной возможности записать звонок для нашего региона не предусмотрено. Есть поддержка VoLTE.
Программное обеспечение и мультимедиа
В качестве программной платформы в Huawei Mate 30 Pro используется Google Android 10-й версии с собственной оболочкой EMUI 10. Главный вопрос, связанный с ПО новых смартфонов Huawei, таков: можно ли полноценно пользоваться смартфоном без привычных европейцу сервисов Google? Ну, что тут скажешь... Самим китайцам ни Youtube, ни Google Maps, ни GMail и раньше не были доступны (у них есть собственные аналоги этих сервисов — совершенно иные), да и бесконтактной оплатой с помощью NFC в Китае не пользуются. Но европейцы уже настолько успели ко всему этому привыкнуть, что даже на айфонах чаще пользуются приложениями Google, чем собственными сервисами Apple, а без Youtube многие в принципе не мыслят своего существования.
Всего этого нет в пакете предустановленных мобильных приложений и служб под названием Huawei Mobile Services (HMS), представленном одновременно со смартфонами Huawei нового поколения. В принципе, в Mate 30 Pro есть все самое необходимое: свой браузер, облачное хранилище, а также Themes, Music, Video, Reader, Assistant и другие приложения и службы, входящие в «экосистему» HMS. Но вот привычных мессенджеров Whatsapp и Telegram там не найти, не получится установить и Youtube, нет бесконтактных платежей Google Pay. Неудобно. На текущий момент вряд ли кого-нибудь из покупателей дорогого флагманского смартфона устроит отказ от привычных сервисов и приложений, вряд ли такие люди будут готовы ограничиться набором приложений HMS.
Есть, правда, возможность неофициальной установки загрузчика магазина приложений Google Play и последующей установки всех любимых Google-сервисов, но инструкции длинные, и для того ли приобретают аппарат ценой в 1100 евро? На этот вопрос каждый ответит для себя сам. Кому возиться не лень — проделают эту операцию без проблем, поскольку root-доступа и прочих «излишеств» для нее не требуется (хотя со стороны Huawei было бы идеологически очень правильно в такой момент снова разрешить разблокировать загрузчик). Впрочем, на момент публикации обзора GPay на смартфоне так и не работал.




Имеется функция разблокировки по лицу, и в Huawei Mate 30 Pro она работает действительно безопасно, поскольку задействует дополнительный датчик 3D ToF (то есть разблокировать смартфон фотографией не получится). Но еще больше порадовал своим быстродействием подэкранный сенсор отпечатков пальцев: это первый такого рода датчик, работающий не менее быстро, чем традиционный. Претензий к нему нет совсем.


У смартфона вообще нет разговорного динамика, основной динамик здесь в одиночестве, звучит он неплохо, но все же уступает топовым смартфонам со стереодинамиками. Для наушников не сохранили 3,5-миллиметровый аудиовыход, но зато аппарат поддерживает все кодеки для работы беспроводных наушников: aptX и aptX HD, LDAC HD, а также HWA Audio собственной разработки Huawei. Настройки Huawei Histen позволяют внести в звук изменения на свой вкус, звучит в наушниках аппарат достойно. Есть диктофон с хорошей чувствительностью, FM-радио нет.


Производительность
Huawei Mate 30 Pro работает на однокристальной системе Huawei Kirin 990. В конфигурацию SoC входит три кластера CPU: два ядра Cortex-A76 с частотой 2,86 ГГц, два таких же ядра с частотой 2,09 ГГц и четыре Cortex-A55 с частотой 1,86 ГГц. За графическую производительность отвечает GPU Mali-G76 MP16.
Объем оперативной памяти составляет 8 ГБ, объем хранилища — 128 или 256 ГБ. Карты памяти microSD здесь не поддерживаются, поддерживается лишь карточки собственного формата Huawei — Nano Memory. Можно подключать внешние устройства к порту USB Type-C в режиме USB OTG.


Kirin 990 — это самая новая и самая мощная SoC Huawei, производится она по 7-нанометровому техпроцессу. Платформа демонстрирует высочайшие результаты в тестах, в реальных задачах также не имеет преград, уверенно справляется с самыми требовательными играми. Другое дело, что для установки игр необходимо сначала установить магазин Google Play. Впрочем, не будем повторяться.
Тестирование в комплексных тестах AnTuTu и GeekBench:
Все результаты, полученные нами при тестировании смартфона в самых свежих версиях популярных бенчмарков, мы для удобства свели в таблицы. В таблицу обычно добавляется несколько других аппаратов из различных сегментов, также протестированных на аналогичных последних версиях бенчмарков (это делается лишь для наглядной оценки полученных сухих цифр). К сожалению, в рамках одного сравнения нельзя представить результаты из разных версий бенчмарков, поэтому «за кадром» остаются многие достойные и актуальные модели — по причине того, что они в свое время проходили «полосу препятствий» на предыдущих версиях тестовых программ.
| Huawei Mate 30 Pro (Huawei Kirin 990) | Samsung Galaxy Note10+ (Samsung Exynos 9825) | Oppo Reno 10x zoom (Qualcomm Snapdragon 855) | Huawei P30 Pro (Huawei Kirin 980) | Samsung Galaxy S10+ (Samsung Exynos 9820) | |
|---|---|---|---|---|---|
| AnTuTu (v7.x) (больше — лучше) | 321922 | 338801 | 373368 | 313035 | 328955 |
| GeekBench 4 (больше — лучше) | 1723/5893 | 3518/10385 | 3324/10000 | 4485/10232 | |
| GeekBench 5 (больше — лучше) | 769/2888 |


Тестирование графической подсистемы в игровых тестах 3DMark и GFXBenchmark:
При тестировании в 3DMark для самых производительных смартфонов теперь есть возможность запускать приложение в режиме Unlimited, где разрешение рендеринга фиксировано на 720p и отключен VSync (из-за чего скорость может подниматься выше 60 fps).
| Huawei Mate 30 Pro (Huawei Kirin 990) | Samsung Galaxy Note10+ (Samsung Exynos 9825) | Oppo Reno 10x zoom (Qualcomm Snapdragon 855) | Huawei P30 Pro (Huawei Kirin 980) | Samsung Galaxy S10+ (Samsung Exynos 9820) | |
|---|---|---|---|---|---|
| 3DMark Ice Storm Sling Shot ES 3.1 (больше — лучше) | 4498 | 4981 | 5686 | 4233 | 4384 |
| 3DMark Sling Shot Ex Vulkan (больше — лучше) | 2763 | 4756 | 4981 | 3512 | 4233 |
| GFXBenchmark Manhattan ES 3.1 (Onscreen, fps) | 55 | 38 | 58 | 49 | 37 |
| GFXBenchmark Manhattan ES 3.1 (1080p Offscreen, fps) | 67 | 71 | 71 | 56 | 66 |
| GFXBenchmark T-Rex (Onscreen, fps) | 58 | 60 | 61 | 60 | 60 |
| GFXBenchmark T-Rex (1080p Offscreen, fps) | 140 | 170 | 166 | 137 | 142 |


Тестирование в браузерных кросс-платформенных тестах:
Что касается бенчмарков для оценки скорости движка javascript, то стоит всегда делать скидку на то, что в них результаты существенно зависят от браузера, в котором запускаются, так что сравнение может быть истинно корректным только на одинаковых ОС и браузерах, а такая возможность имеется при тестировании не всегда. В случае с ОС Android мы всегда стараемся использовать Google Chrome.
| Huawei Mate 30 Pro (Huawei Kirin 990) | Samsung Galaxy Note10+ (Samsung Exynos 9825) | Oppo Reno 10x zoom (Qualcomm Snapdragon 855) | Huawei P30 Pro (Huawei Kirin 980) | Samsung Galaxy S10+ (Samsung Exynos 9820) | |
|---|---|---|---|---|---|
| Mozilla Kraken (мс, меньше — лучше) | 2267 | 4080 | 1887 | 2027 | 2375 |
| Google Octane 2 (больше — лучше) | 22423 | 8987 | 25686 | 22228 | 18909 |
| JetStream (больше — лучше) | 63 | 30 | 68 | 64 | — |


Результаты теста AndroBench на скорость работы с памятью:
Нагрев
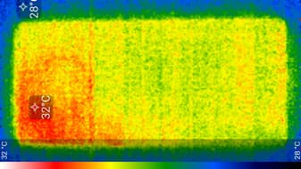
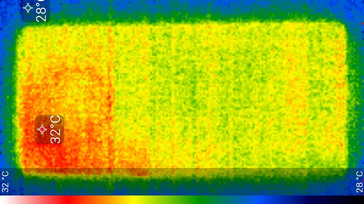
Ниже приведен теплоснимок задней поверхности, полученный после 15 минут боя с гориллой в игре Injustice 2 (этот тест используется и при определении автономности в 3D-играх):
Нагрев больше в верхней правой части аппарата, что, видимо, соответствует расположению микросхемы SoC. По данным теплокамеры, максимальный нагрев составил всего 32 градуса (правда, при температуре окружающего воздуха в 22 градуса), это совсем мало.
Воспроизведение видео
Данный аппарат поддерживает DisplayPort Alt Mode для USB Type-C — вывод изображения и звука на внешнее устройство при подключении к порту USB (Отчет программы usbview.exe). Работу в таком режиме мы опробовали совместно с док-станцией Aten UH3234. При подключении к нашему 4К-монитору или ТВ вывод видео осуществляется в режиме 1080p при 60 Гц кадровой частоты. Режимов работы два: вывод альтернативного рабочего стола (режим ПК)
или простое копирование экрана смартфона (режим Телефон).
Во втором случае при портретной ориентации экрана смартфона картинка на мониторе Full HD выводится вписанной по высоте и с широкими черными полями по бокам, а при ландшафтной — вписанной по ширине с узкими черными полями сверху и снизу. Вывода точка в точку в обоих вариантах нет. В режиме альтернативного рабочего стола на монитор выводится совершенно другой основной экран, а экран смартфона может использоваться в качестве сенсорной панели координатного ввода, быть планшетом для рисования поверх рабочего стола или работать как обычно, вторым рабочим столом небольшого размера. Вот пример рабочего стола на экране монитора:
Не все приложения гарантированно могут работать корректно в таком режиме. Управляющая панель в нижней части экрана убирается при выводе изображения на весь экран (например, при воспроизведении видео). Вывод осуществляется уже в истинном разрешении 1920×1080 и точка в точку. Отметим, что одновременно с выводом изображения и звука можно по USB подключать к смартфону мышь и клавиатуру (переключение раскладки — Ctrl+пробел), USB-флешки и т. д., превращая смартфон в основу для рабочего места, но для этого адаптер или монитор (имеющий вход USB Type-C) должны допускать подключение внешних USB-устройств (то есть иметь USB-концентратор). Для зарядки смартфона к адаптеру/док-станции потребуется подключить зарядное устройство, а мониторы со входом USB Type-C обычно сами подают питание на смартфон. В режиме рабочего стола на внешнем мониторе можно параллельно работать на самом смартфоне, то есть получается два рабочих стола одновременно, но вывод видео в режиме аппаратного декодирования осуществляется только на один экран, также одна и та же программа не может работать и там, и там.
Для тестирования вывода изображения видеофайлов на экран самого устройства мы использовали набор тестовых файлов с перемещающимися на одно деление за кадр стрелкой и прямоугольником (см. «Методика тестирования устройств воспроизведения и отображения видеосигнала. Версия 1 (для мобильных устройств)»). Снимки экрана с выдержкой в 1 с помогли определить характер вывода кадров видеофайлов с различными параметрами: варьировались разрешение (1280 на 720 (720p), 1920 на 1080 (1080p) и 3840 на 2160 (4K) пикселей) и частота кадров (24, 25, 30, 50 и 60 кадр/с). В тестах мы использовали видеоплеер MX Player в режиме «Аппаратный». Результаты теста сведены в таблицу:
| Файл | Равномерность | Пропуски |
|---|---|---|
| 4К/60p (H.265) | отлично | нет |
| 4К/50p (H.265) | отлично | нет |
| 4К/30p (H.265) | отлично | нет |
| 4К/25p (H.265) | отлично | нет |
| 4К/24p (H.265) | отлично | нет |
| 4К/30p | отлично | нет |
| 4К/25p | отлично | нет |
| 4К/24p | отлично | нет |
| 1080/60p | отлично | нет |
| 1080/50p | отлично | нет |
| 1080/30p | отлично | нет |
| 1080/25p | отлично | нет |
| 1080/24p | отлично | нет |
| 720/60p | отлично | нет |
| 720/50p | отлично | нет |
| 720/30p | отлично | нет |
| 720/25p | отлично | нет |
| 720/24p | отлично | нет |
Примечание: Если в обоих столбцах Равномерность и Пропуски выставлены зеленые оценки, то это означает, что, скорее всего, при просмотре фильмов артефактов, вызванных неравномерным чередованием и пропуском кадров, или не будет видно совсем, или их количество и заметность не будет влиять на комфортность просмотра. Красные отметки указывают на возможные проблемы, связанные с воспроизведением соответствующих файлов.
По критерию вывода кадров качество воспроизведения видеофайлов очень хорошее, так как кадры или группы кадров могут (но не обязаны) выводиться с равномерным чередованием интервалов и без пропусков. При воспроизведении видеофайлов с разрешением 1920 на 1080 пикселей (1080p) изображение собственно видеофайла выводится точно по высоте экрана (при ландшафтной ориентации) с интерполяцией к разрешению экрана, и конечно, часть картинки оказывается на загнутых краях с соответствующим искажением яркости и цвета. Можно переключиться в режим один-в-один по пикселям, тогда вывод будет в истинном разрешении Full HD и с минимальным заходом на загнутые края. Однако при этом уже проявляются особенности PenTile: вертикальная мира через пиксель в сеточку, а горизонтальная — чуть-чуть зеленоватая. Это наблюдается на тестовых мирах, а на реальных кадрах описываемые артефакты не видны. Впрочем, далеко не всегда и не в любом плеере получится вывести изображение видео в пределах плоского экрана, поэтому в общем случае для просмотра видео этот смартфон годится не лучшим образом. Отображаемый на экране диапазон яркости соответствует стандартному диапазону 16—235, однако в тенях есть небольшой завал, и он увеличивается при снижении яркости. Отметим, что в этом смартфоне есть поддержка аппаратного декодирования файлов H.265 с глубиной цвета 10 бит на цвет, при этом вывод градиентов на экран осуществляется с лучшим качеством, чем в случае 8-битных файлов (впрочем, это не доказательство истинного 10-битного вывода). Также поддерживается отображение файлов HDR.
Время автономной работы
Huawei Mate 30 Pro имеет батарею с большим объемом 4500 мА·ч, но не демонстрирует рекордной автономности. В реальной жизни смартфон уверенно проживает сутки, но без ежедневной ночной постановки на зарядку все равно не обойтись.
Тестирование традиционно проводилось на обычном уровне энергопотребления без использования функций энергосбережения, хотя таковые в аппарате имеются.
| Емкость аккумулятора | Режим чтения | Режим видео | Режим 3D-игр | |
|---|---|---|---|---|
| Huawei Mate 30 Pro | 4500 мА·ч | 22 ч. 00 м. | 12 ч. 00 м. | 7 ч. 00 м. |
| Samsung Galaxy Note10+ | 4300 мА·ч | 21 ч. 20 м. | 14 ч. 00 м. | 8 ч. 00 м. |
| Oppo Reno 10x zoom | 4065 мА·ч | 25 ч. 00 м. | 19 ч. 00 м. | 8 ч. 00 м. |
| Huawei P30 Pro | 4200 мА·ч | 25 ч. 00 м. | 17 ч. 00 м. | 8 ч. 00 м. |
| Samsung Galaxy S10+ | 4100 мА·ч | 24 ч. 00 м. | 17 ч. 00 м. | 8 ч. 00 м. |
Беспрерывное чтение в программе FBReader (со стандартной, светлой темой) при минимальном комфортном уровне яркости (яркость была выставлена на 100 кд/м²) длилось до полного разряда аккумулятора 22 часа, а при беспрерывном просмотре видео в высоком качестве (720р) с тем же уровнем яркости через домашнюю сеть Wi-Fi аппарат функционирует до 12 часов. В режиме 3D-игр смартфон может проработать 6-7 часов в зависимости от конкретной игры.
Смартфон поддерживает быструю зарядку, от комплектного сетевого адаптера он полностью заряжается за 1 час 45 минут. Поддерживается быстрая беспроводная зарядка. Также смартфон может заряжать от собственной батареи другие устройства, играя роль пауэрбанка.
Итог
Мы не торопились с обзором смартфона, чтобы понять, как этот эксперимент пойдет в России. На момент публикации обзора (много позже даты официальной мировой презентации) в Москве он был представлен в одной (!) розничной точке — правда, не за 1100 евро. Делайте выводы.
Абстрагируясь же от цены и доступности, Huawei Mate 30 Pro вышел довольно любопытным устройством. Привычно уже высокий уровень фотосъемки производитель в данном случае решил подкрепить и прогрессом в плане видеосъемки, хотя «бесшовного» перехода между объективами при зуме, как в iPhone 11, к сожалению, не получилось. Из совершенно неожиданных недостатков отметим отсутствие аппаратных клавиш регулировки громкости: это абсолютно неверный ход, и надеемся, в будущем разработчики не станут позволять себе таких вольностей. Главный же вопрос — пресловутые сервисы Google.
Обидно, что такому передовому мобильному аппарату суждено, по-видимому, стать нишевым устройством для гиков, жаждущих находиться на острие моды и развития технологий. Более «приземленным» в своих желаниях пользователям стоит задуматься, не будет ли проще и дешевле взять тот же проверенный Huawei P30 Pro со всеми уже предустановленными сервисами и возможностью без «заморочек» устанавливать любимые и знакомые приложения.









































